Amelanchier lamarckii F. G. Schroed.
Kupfer-Felsenbirne, Rosaceae - Rosengwächse
Vollfrühlingblüher, IV–V, 1–10 m hoch, sommergrün, mehrjährig
Die Kupfer-Felsenbirne tritt im Nordwesten Mitteleuropas verbreitet, ansonsten selten bis zerstreut mit großen Lücken auf. Ursprünglich stammt sie aus dem östlichen Nordamerika und wurde schon im 19. Jahrhundert nach Mitteleuropa eingeführt. Wahrscheinlich handelt es sich um eine in Europa entstandene Hybridart (Nothospezies) von Amelancier laevis Wiegand und entweder A. arborea (F. Michx) Fernals oder A. canadensis (L.) Medik., die sich ungeschlechtlich (apomiktisch) vermehrt und stabile Bestände aufweist. Bevorzugt siedeln die Pflanzen in lichten Eichen- und Kiefernwäldern, Erlenbrüchen und Strauchgesellschaften.
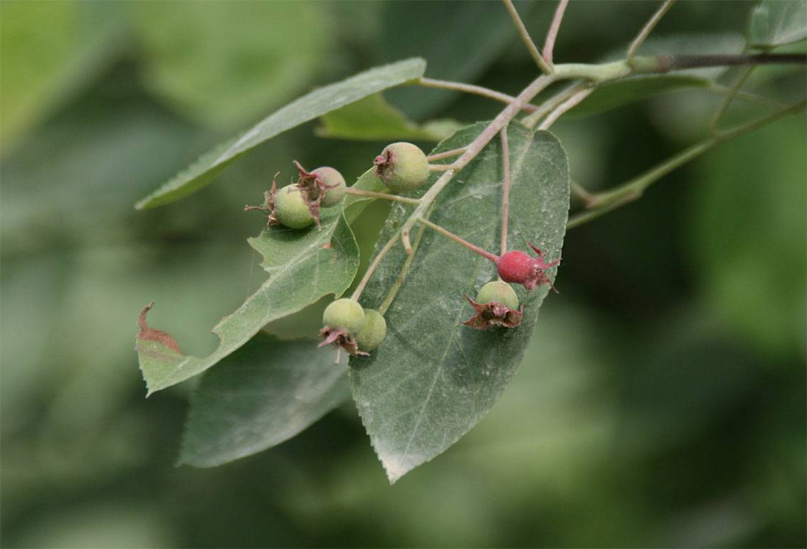
Die Bäume wachsen ein- oder mehrstämmig ohne Ausläufer und verzweigen mehr oder weniger schon von unten an. Die Borke ist hellbraun und fein längsrissig. Die Laubblätter sind im typischerweise im Austrieb kupferfarben und weißlich seidenhaarig. Später verkahlen die Blätter und werden breit länglich bis verkehrt eiförmig, 4,5–10 cm lang, gesägt und mit 1–2 mm langer Stachelspitze. Im Herbst färben sich die Blätter kupferrot. Die Blütenstände sind 5–16-zählig, 4–8 cm lang, schräg aufrecht bis überhängend. Die Blüten sind weiß mit schmal länglichen, kahlen, 9–14 mm langen Kronblättern. Später bilden sich bis 9–11 mm im Durchmesser große, kugelige, pupurrote bis blauschwarze, essbare Früchte (Ostfriesische Korinthen).


Der Gattungsname Amelanchier Medik. leitet sich ab von gr. "melas" (= schwarz) ab und beschreibt die Farbe der reifen Früchte. Über südfranzösische Wortstämme entwickelte sich frz. "amélanchier" (= Felsenbirne) durch falsche Abtrennung des Artikels in "la mélanche" zu "l'amélanche". Das Art-Epitheon lamarckii wurde zu Ehren des französischen Biologen Jean-Baptiste Lamarck (1744–1829) etabliert, der die Art als Crataegus racemosa nom. inv. beschrieben hatte.
Amelanchier lamarckii ist ein hübscher, frühblühender Strauch für warme und sonnige Stellen im Garten, der mit unverwechselbarer Laubfärbung im Austrieb aufwarten kann. Zudem garantiert die Pflanze herbstlichen Fruchtgenuss. Der Anbau ist einfach, ideal ist ein kalkfreier, nicht verdichteter Boden an sonniger Stelle.
Referenzen
Genaust, H. 2012: Etymologisches Wörterbuch der botanischen Pflanzennamen. – Nikol-Verlag, Hamburg, 701 S.
Haeupler, H. & Muer, T. 2007: Bildatlas der Farn- und Blütenpflanzen Deutschlands. – Ulmer-Verlag, Stuttgart, 789 S.
Jäger, E. J. 2011: Rothmaler, Exkursionsflora von Deutschland. Gefäßpflanzen: Grundband. – Spektrum Akademischer Verlag, Heidelberg, 930 S.
Zitiervorschlag: Lorek, M. 2021: Amelanchier lamarckii. – http://www.tropengarten.de/Pflanzen/amelanchier-lamarckii.html am Tg.Mo.Jahr.