Lithospermum purpurocaeruleum L.
synonym:
Buglossoides purpurocaerulea (L.) I. M. Johnst.
Blauroter Steinsame, Purpurblauer Steinsame, Purpurblaue Rindszunge, Boraginaceae - Raublattgewächse
Vollfrühlingblüher, IV–VI, 30–60 cm hoch, sommergrün, mehrjährig
Der Blaurote Steinsame tritt in Mitteleuropa selten bis zerstreut auf und kommt bevorzugt in den kalkhaltigen Mittelgebirgen vor. Richtung Norden ist er selten oder fehlt ganz und die Bestände sind abnehmend. Bevorzugt besiedelt er trockene und warme Laubmischwälder und Strauchgesellschaften.
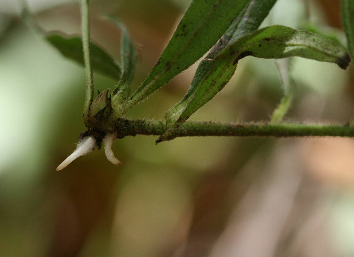
Die Pflanzen sind sommergrün mit aufrechten blühenden und niederliegenden vegetativen Sprossen. An idealen Standorten können die Pflanzen große Kolonien durch unterirdische Ausläufer und bewurzelnde Sprosse bilden und dadurch einen hohen Deckungsgrad in der Krautschicht erreichen. Die Stängel sind unverzweigt und tragen lanzettliche, bis 8 cm lange Laubblätter. Die Blüten stehen dicht gedrängt in Wickeln (wie bei vielen der einheimischen Raublattgewächse), sind bis 2 cm lang, anfangs purpurfarben, später tiefblau. Die Teilfrüchte sind glatt, gelblich-weiß, bis 5 mm und sehr hart, "steinähnlich".









Der Gattungsname Lithospermum L. leitet sich ab von lat. "lithos" (= Stein) und lat. "sperma" (= Same), nach den harten, steinähnlichen Samen der Gattung. Der Gattungsname Buglossoides Moench stammt von gr. "bous" (= Ochse, Rind), gr. "glossa" (= Zunge) und gr. "-oeides" (= -ähnlich), zu "ochsenzungenähnlich", nach den rauen, zungenförmigen Blättern, die an die Zunge von Ochsen erinnern. Das Epitheton purpurocaeruleum stammt von lat. "purpureus" (= purpurrot) und lat. "caeruleus" (= blau), zu "purpurblau", nach der Farbe der Kronblätter.
Lithospermum purpurocaeruleum bevorzugt einen schattigen bis halbschattigen Platz unter Gehölzen, auf Kalk und nicht zu trockenen Böden. Hübsch sind Kombinationen mit mediterranen Sträuchern oder Bäumen, wo der Purpurblaue Steinsame zusammen mit Farnen den Unterwuchs bilden kann.
Referenzen
Genaust, H. 2012: Etymologisches Wörterbuch der botanischen Pflanzennamen. – Nikol-Verlag, Hamburg, 701 S.
Haeupler, H. & Muer, T. 2007: Bildatlas der Farn- und Blütenpflanzen Deutschlands. – Ulmer-Verlag, Stuttgart, 789 S.
Jäger, E. J. 2011: Rothmaler, Exkursionsflora von Deutschland. Gefäßpflanzen: Grundband. – Spektrum Akademischer Verlag, Heidelberg, 930 S.
Zitiervorschlag: Lorek, M. 2024: Lithospermum purpurocaeruleum. – http://www.tropengarten.de/Pflanzen/lithospermum-purpurocaeruleum.html am Tg.Mo.Jahr.