Melilotus altissimus Thuill.
Hoher Steinklee, Bokharaklee, Fabaceae - Hülsenfrüchtler
Sommerblüher, VI–XII, 60–120 cm hoch, sommergrün, ein-, zweijährig
Der Hohe Steinklee tritt in Mitteleuropa zumeist zerstreut auf, Richtung Osten wird er selten. Sein Verbreitungsgebiet ist europäisch-westasiatisch, in Nordamerika ist er eingebürgert. Er siedelt gerne entlang von Wegrändern, in Staudenfluren und Waldsäumen oder auf gestörten Flächen. An der Küste findet man ihn gelegentlich am Rand der Salzwiesen.
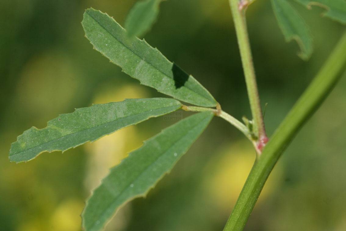
Die Pflanzen wachsen aufrecht, sind reich verzweigt und haben 3-teilige, gefiederte Blätter, von denen typischerweise das mittlere Fiederblättchen wesentlich länger gestielt ist als die anderen, wie bei allen Steinklee-Arten. Die Stängel sind grün oder rot. Die Nebenblätter sind linealisch. Die gelben Schmetterlings-Blüten stehen in 2–6 cm langen, schlanken Trauben. Die Krone ist 5–8 mm lang und hat etwa gleich lange Fahnen, Flügel und Schiffchen. Später bilden sich eiförmige, kurzhaarige, netznervige und bei Reife schwarze Hülsen.




Die Abgrenzung des Melilotus altissimus von den anderen Melilotus-Arten ist teilweise schwierig, insbesondere von M. officinalis (L.) Lam. Letzterer hat 4–10 cm lange Blütentrauben, Kronen deren Flügel länger als das Schiffchen sind und quer runzelige, kahle Früchte, die im reifen Zustand braun werden.
Der Gattungsname Melilotus (L.) Mill. setzt sich zusammen aus gr. "meli" (= Honig) und gr. "lotos" (= Klee). Als Honigklee (= "melilotos") wurde in der Antike der M. officinalis bezeichnet, da er duftende und nektarreiche Blüten trägt. Er wurde damit namensgebend für die Gattung. Das Epitheton altissimus stammt von lat. "altissimus" (= der höchste), nach den zumeist höheren Pflanzen als beim M. officinalis.
Melilotus altissimus sind dekorative Pflanzen für den Steingarten, das Yuccabeet oder eine mediterrane Pflanzung. Interessant dürfte die sehr lange Blühphase bis zu den ersten Frösten sein. Da es ein- bis zweijährige Pflanzen sind, sollte entweder genügend Freifläche im Beet zur Selbstaussaat vorhanden sein oder man sammelt die Früchte ab und sät im Frühjahr neu aus.
Referenzen
Genaust, H. 2012: Etymologisches Wörterbuch der botanischen Pflanzennamen. – Nikol-Verlag, Hamburg, 701 S.
Haeupler, H. & Muer, T. 2007: Bildatlas der Farn- und Blütenpflanzen Deutschlands. – Ulmer-Verlag, Stuttgart, 789 S.
Jäger, E. J. 2011: Rothmaler, Exkursionsflora von Deutschland. Gefäßpflanzen: Grundband. – Spektrum Akademischer Verlag, Heidelberg, 930 S.
Zitiervorschlag: Lorek, M. 2024: Melilotus altissimus. – http://www.tropengarten.de/Pflanzen/melilotus-altissimus.html am Tg.Mo.Jahr.