Pachysandra procumbens Michx.
einschließlich:
Pachysandra stylosa Dunn
Pachysandra axillaris ssp. stylosa (Dunn) Boufford & Q. Y. Xiang
Pachysandra axillaris var. stylosa (Dunn) M. Cheng
Amerikanischer Ysander, Amerikanisches Dickmännchen, Buxaceae - Buchsbaumgewächse
Erstfrühlingblüher, III–V, 20–30 cm hoch, immergrün, mehrjährig
Der Amerikanische Ysander stammt aus dem südöstlichen Nordamerika, wo die Pflanzen in der Krautschicht von Laubwäldern bis auf 1.800 m über Meereshöhe vorkommen.
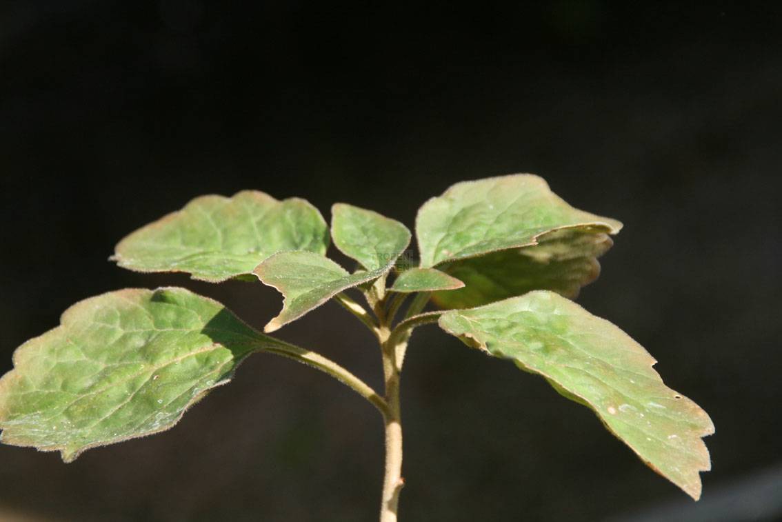
Es sind immergrüne Zwergsträucher mit aufsteigenden bis aufrechten Zweigen und niederliegenden Stämmchen die an den Knoten bewurzeln können. Die Stämmchen verzweigen, sind flaumig behaart und meist in der oberen Hälfte beblättert. Die Laubblätter haben einen 2–3 cm langen, behaarten Stiel, sind eiförmig bis verkehrt eiförmig oder rhombisch, oberseits kahl und unterseits an den Nerven fein behaart. Die Blütenstände erscheinen unterhalb der letztjährigen Laubblätter an unbeblätterten Stängelabschnitten. Die Blüten sind weiß, braun und duften.




Der Gattungsname Pachysandra Michx. setzt sich zusammen aus gr. "pachys" (= dick) und gr. "aner" (= Mann) und beschreibt die in dichten Ähren stehenden, getrenntgeschlechtigen Blüten. Der Wortstamm gr. "andros" ist Genitiv und kommt so auch heute noch in der deutschen Sprache vor. Das Epitheton procumbens leitet von lat. "procumbens" (= niederliegend), nach der Wuchsform der Art.
Pachysandra procumbens ist ein immergrüner Bodendecker für halbschattige bis schattige Stellen im Exotengarten. Die Pflanzen sind anspruchslos und gedeihen auf unterschiedlichen Böden. Ideal sind feuchte, mullreiche Böden unter Gehölzen. Im Laufe der Jahre bilden sich hübsche, immergrüne Matten, die perfekt mit Farnen und Gehölzen harmonisieren.
Referenzen
Genaust, H. 2012: Etymologisches Wörterbuch der botanischen Pflanzennamen. – Nikol-Verlag, Hamburg, 701 S.
Jäger, E. J., Ebel, F., Hanelt, P. & Müller, G. K. 2007: Rothmaler, Exkursionsflora von Deutschland, Band 5, Krautige Nutz- und Zierpflanzen. – Spektrum Akademischer Verlag, Heidelberg, 874 S.
Zitiervorschlag: Lorek, M. 2022: Pachysandra procumbens. – http://www.tropengarten.de/Pflanzen/pachysandra-procumbens.html am Tg.Mo.Jahr.